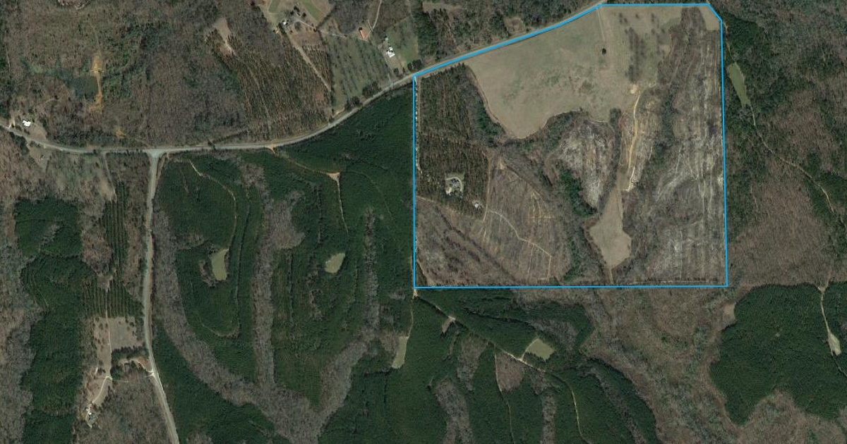
Sistrunk Tract

Create Map

160 acres Russell County

X